受今年第21号台风“康妮”外围环流和冷空气共同影响,31日傍晚到11月1日,上海有大暴雨,过程雨量120~180毫米,东南部可达220~280毫米,最大小时雨强40~70毫米,降水具有极端性,有可能成为1981年以来11月最大降水过程;31日夜里起风力逐渐增大,11月1日最大陆地阵风8~9级,洋山港区阵风10~11级。
台风“康妮”
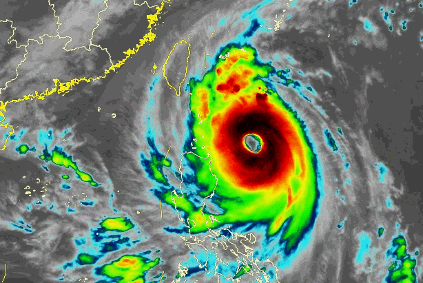
加强为超强台风 逐渐向台湾岛靠近

今年第21号台风“康妮”,今天早晨增强为超强台风,11时其中心位于距离台湾省台东市东南约520公里的太平洋洋面上,中心附近最大风力有17级,中心最低气压为925百帕,七级风圈半径380~480公里。
预计“康妮”将以每小时15~20公里的速度向西北方向移动,强度还将有所增强,将于31日中午到下午在台湾岛南部或中部登陆,尔后沿浙闽沿海一带近海北上(也可能在上述沿海地区登陆或擦过),强度迅速减弱。

台风外围联手冷空气
周四傍晚至周五大暴雨
降水预报
- 注意防范大暴雨
受“康妮”外围环流和冷空气共同影响,10月31日下午起上海将出现阵雨天气,傍晚开始雨势增强,强降水将持续到2日凌晨,降水集中时段出现在31日半夜至11月1日白天。过程累积雨量大暴雨(120~180毫米),上海东南部地区雨量更显著(局部可达220~280毫米),可能成为上海1981年以来11月最大降水过程。
注意防范大风
31日夜里起上海风力逐渐增大,11月1日最大陆地阵风8~9级,高层建筑及沿江沿海地区阵风9~10级,洋山港区阵风10~11级,2日下午风力逐渐减弱。
天气提示
台风影响前可适量储备饮用水和食物。台风影响期间尽量减少外出。
防范大风。妥善收起室外物品,防止高空坠物。不要在临时建筑物附近躲避风雨,车辆停靠远离大树等。
此次过程具有极端性,强降水可能造成局部积水,如在户外注意不要轻易涉水。
“康妮”影响期间正值天文大潮期,注意提防风暴增水影响,低洼处有需注意防范。
此次过程对交通有较大影响,注意及时了解出行信息。
注意及时了解预报预警信息。
后期天气趋势
下周冷空气影响 气温进一步下降
明天上海逐渐受到“康妮”外围影响,云系增多,下午开始转雨,全天气温在18~23℃之间。明天夜间到周五降雨明显,同时风力增大。降雨和冷空气影响,周五和周六气温下降,最高气温仅20℃。周日上海天气恢复平静。下周还有一次冷空气过程,上海以多云天气为主,气温进一步下降。

责编:刘双
一审:詹娉俏
二审:李茁
三审:文凤雏
来源:央视新闻客户端

湖南日报新媒体



